Surgical Procedures
Providing high-quality surgical care in a stress-free and relaxing environment.
Oneonta Veterinary Hospital provides veterinary surgical care and services for cats and dogs. Using state-of-the-art equipment and an experienced team, we’ll provide your pet with high-quality surgery in a safe, stress-free and relaxing environment.
Our team of skilled veterinarians and technicians are ready to provide your pet with a range of surgeries. Each procedure consists of a thorough pre-surgical physical exam conducted by a veterinarian, surgical monitoring, and lots of TLC throughout the day.
Below are some of our surgical procedures we offer:
Spay & Neuter Procedures
Help your pet live a long, healthy life.
Advanced Soft Tissue Surgery
Surgery on eyes, ears, throat and lungs.
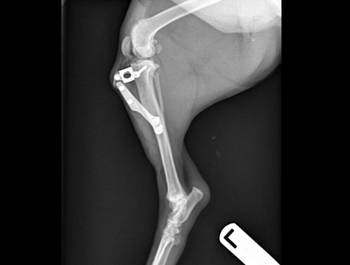
Orthopedic Pet Surgery
Broken and fractured bone repair.


